![]() |
![]() |
![]() |
![]() |
Our world is being literally split and ripped apart by WEATHER. The elite want you to believe this is due to climate change caused by human greed and disrespect for nature. THIS IS AN ABSOLUTE LIE! Our weather has been deliberately changed and manipulated to suite the goals of the ruling class.
Don’t take my word for it. There is plenty of evidence. View all the information, articles, and videos in this post. If you still don’t believe they are manipulating the weather… search your spirit. The devil has those who love the world and worldliness above GOD, blind, deaf and stupid! The only way you can break free from your stupor and see TRUTH is to seek GOD and His righteousness. I pray that everyone who comes to this website will be forever changed by the power of GOD. Those who already know Him, I pray will find a deeper walk with Him and greater Blessings. Those who do not know HIM, I pray will be set free from slavery to sin and death, have their eyes opened and their ears unstopped and that GOD will speak to them at the place of their need, so they leave here with the answers they were seeking.
spacer
Where does the MONEY Go??
spacer
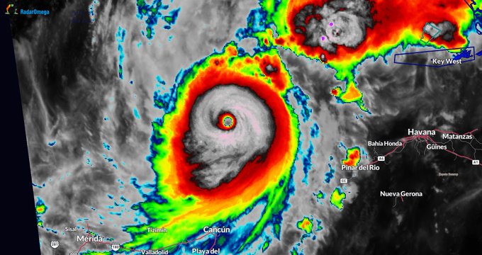
Hurricane Milton forms eerie skull-like face moments before approaching Florida
You can watch the video shown below on the Dailymail webpage. CLICK HERE

A creepy satellite image of Hurricane Milton shows the storm taking the shape of a skull before making landfall in Florida on Wednesday.
Stu Ostro, senior meteorologist at the Weather Channel, shared the eerie photo on X, displaying it next to a similar image of hurricane Matthew in 2016.
Milton appeared to be staring back, with an eerie-like grin as it churned in the Gulf and barreled toward Florida.

Both Hurricane Matthew of 2016 (left) and Hurricane Milton (right) took on the shape of an eerie skull before making landfall
Another X user – Storm Chaser Rob from Alabama – shared a video of the satellite radar as Milton morphed into the sinister shape.
‘We have a SKULL. This is a harrowing visual. This sent chills up my spine. Hurricane Milton will be talked about for a long time,’ he wrote.
Experts have described Hurricane Milton as a ‘monster’ storm – which makes this satellite image all the more fitting.
Milton made landfall near Sarasota, Florida around 8:30pm ET Wednesday.
The Category 3 storm whipped up 150 tornados and hammered the state with up to 20 inches of rain, over 100 mph wind gusts and peak storm surge over five feet.
More than three million Floridians are still without power in the aftermath of Milton, according to poweroutage.us, which tracks utility reports.
Ostro included another picture in the post, showing Hurricane Matthew had formed a similar skull-like pattern.
Matthew was also a devastating storm.
It slammed into Haiti as a Category 4 storm in 2016, causing severe flooding, landslides and infrastructure damage that killed over 500 people and displaced tens of thousands.
|

Ostro included another picture in the post, showing Hurricane Matthew had formed a similar skull-like pattern in 2016
The full extent of Milton’s damage is still unknown, but reports and photos show extensive devastation, including yachts, sailboats and other vessels tossed onto land, downed power lines and homes turned to rubble.
‘We will better understand the extent of the damage as the day progresses,’ Florida Governor Ron DeSantis said.
‘We’ve got more to do, but we will absolutely get through this.’
As of 11:45am EDT Thursday, nine people have been confirmed dead in Florida.
The storm moved offshore Thursday morning, but the danger isn’t over yet. Milton could still flood parts of Florida’s Gulf Coast with storm surge as high as three to five feet.
|
|
Stu Ostro, senior meteorologist at The Weather Channel, posted a photo of the sinister-looking Hurricane Milton on Tuesday.
The meteorologist posted the photo side by side with a similarly eerily shaped Hurricane Matthew, which killed around 1,000 people when it struck Haiti in 2016.
Severe weather YouTuber Max Velocity also posted a photo of Milton’s “creepy skull” on Tuesday.
Link: https://www.tiktok.com/@sykioshumomi/video/7423855136663031082?is_from_webapp=1&sender_device=pc
@sykioshumomi Sinister Hurricane Faces #hurricane #milton #faces #scary #greenscreen
♬ Spooky, quiet, scary atmosphere piano songs – Skittlegirl Sound
spacer
Fast forward to minute 22:47 to watch the part of the following video that addresses the Hurricane and Weather Manipulation.
spacer
spacer
spacer

















